【解消しました】断水のお知らせ(清和台西1丁目)
ページ番号1023606 更新日 令和7年12月22日 印刷
【解消しました】断水のお知らせ
本日午後7時から清和台西1丁目で発生しておりました、断水は午後9時30分ごろに解消しました。
市民の皆様にはご迷惑をおかけし、申し訳ございませんでした。
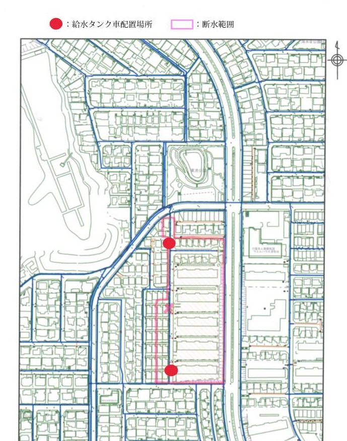
断水のお知らせ
水道使用者様
現在、清和台西1丁目において、漏水事故が発生しております。
それに伴い、下記の区域では断水が発生いたします。

なお、給水タンク車を配車しますので、必要な方はご利用ください。
大変ご迷惑をおかけいたしますが、ご協力よろしくお願いいたします。
断水範囲:清和台西1丁目
断水時間:午後7時~
発生日時:令和7年12月22日(月曜日)午後4時30分頃~
添付ファイル
PDFファイルをご覧いただくには、「Adobe(R) Reader(R)」が必要です。お持ちでないかたはアドビシステムズ社のサイト(新しいウィンドウ)からダウンロード(無料)してください。
より良いウェブサイトにするために、ページのご感想をお聞かせください。
このページに関するお問い合わせ
上下水道局
〒666-8501 川西市中央町12番1号 市役所3階
電話:072-740-1261 ファクス:072-740-1314
上下水道局へのお問い合わせは専用フォームをご利用ください。